16 de junio 2025.
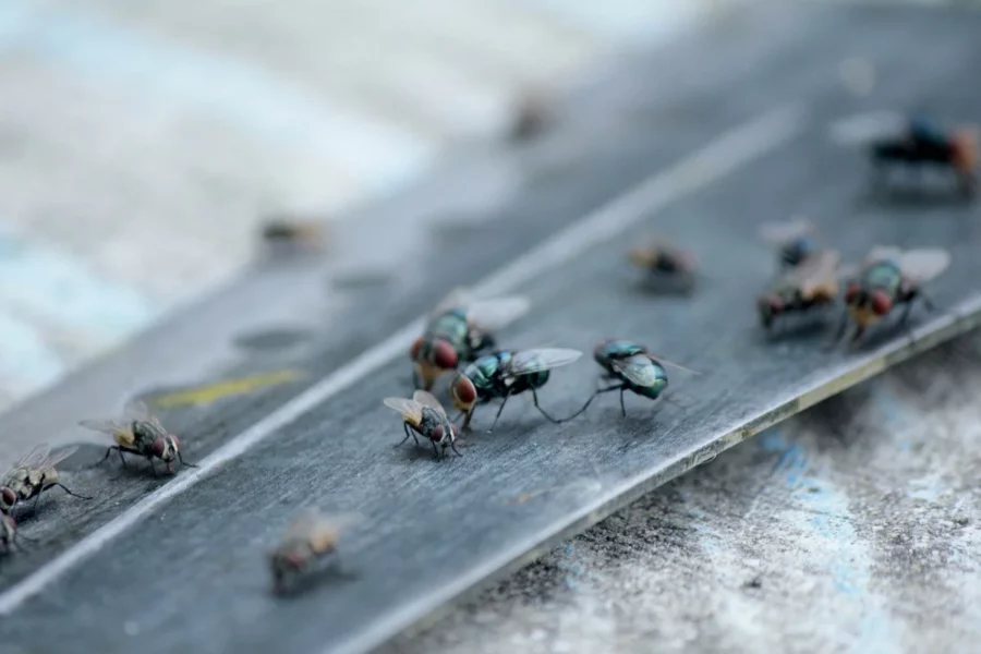
EL PORTAVOZ, SANTO DOMINGO.- Moradores de la calle Doctor Antonio María Pineda, en el populoso sector de Los Mina, denunciaron este lunes la presencia de una inquietante plaga de mosquitos, moscas, ratas y otras alimaña que afecta seriamente la su salud y calidad de vida de los que allí habitan.
Según relataron varios residentes, la situación se ha vuelto insostenible debido a la acumulación de basura y la falta de operativos de fumigación por parte de las autoridades competentes.
“Hacemos un llamado urgente al Ministerio de Salud Pública para que venga en nuestro auxilio. No aguantamos más los mosquitos y las ratas que andan por todas partes, incluso dentro de las casas”, expresó Roberto, uno de los afectados.
Los comunitarios advirtieron que temen la propagación o cualquier brote de enfermedades como el dengue, la leptospirosis y otras afecciones, especialmente entre niños y envejecientes, quienes son los más vulnerables ante esta problemática.
Ante este panorama, los moradores de la calle Antonio María Pineda solicitan la intervención inmediata de las autoridades sanitarias para la ejecución de operativos de limpieza y fumigación, a fin de devolverle la tranquilidad a esta zona de Santo Domingo Este.

