8 de septiembre 2023. Ray Castro. Punta Cana.- La Cámara Oficial de Comercio de España en República Dominicana (CAMACOES y la Asociación de Hoteles y Turismo de la República […]
Mes: septiembre 2023
Asonahores y Barna firman acuerdo para capacitar miembros la la entidad y fomentar actividades
Punta Cana. – La Asociación de Hoteles y Turismo de la República Dominicana, Asonahores y la Escuela De Alta Dirección Barna, suscribieron durante el marco de la celebración de la […]
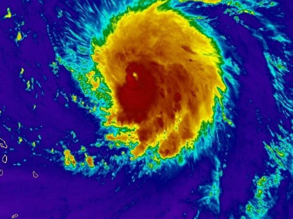
Onamet informa que efectos de huracàn lee seràn oleajes y vientos anormales en el paìs
SANTO DOMINGO.- La Oficina Nacional de Meteorología (Onamet) informó este viernes que los efectos indirectos más notables del huracán Lee en la República Dominicana serán oleaje y viento anormales, los […]
MSP se reúne con sociedades especializadas y directores de centros de salud para socializar y coordinar acciones de manejo y respuesta al dengue
Con el objetivo de socializar, coordinar acciones de manejo y respuesta a la enfermedad, entre otros aspectos, el Ministerio de Salud Pública (MSP) se reunió este jueves con representantes de […]
Director de la CAASD informa suministro de agua potable comienza a normalizarse en el Gran Santo Domingo
El director general de la Corporación del Acueducto y Alcantarillado de Santo Domingo (CAASD), ingeniero Felipe Suberví (Fellito), informó que la producción de agua potable en el Gran Santo Domingo […]
Denuncian abandono de parque frente a construcciòn de edificio del CAID, un nido de delincuentes
septiembre 2023 Ray Castro. Comunitarios denunciaron que el parque abandonado en los alrededores de la construcción que alojará las oficinas del Centro de Atención Integral para la Discapacidad (CAID) en […]
DAMAC capacita a colaboradores en Evaluación de Tecnologías en Salud, para eficientizar servicio a más de 16,530 pacientes
La Dirección de Acceso a Medicamentos de Alto Costo (DAMAC), del Ministerio de Salud Pública (MSP), realizó el taller Evaluación de Tecnologías en Salud, dirigido a colaboradores, con el objetivo […]
Ministro García Fermín encabeza inauguración del Instituto Superior Especializado en Imágenes Médicas
Con la asistencia del ministro de Educación Superior, Ciencia y Tecnología, doctor Franklin García Fermín, fue inaugurado el Instituto Superior Especializado en Imágenes Médicas (INESIMED). Al pronunciar las palabras centrales […]
Edeeste restablece suministro de energía de subestación en SDN afectada por incendio
La Empresa Distribuidora de Electricidad del Este (Edeeste) culminó los trabajos y puso en operación el transformador de la Subestación BNV, en el municipio Santo Domingo Norte, donde se quemó la unidad […]
MLB coloca a Julio Urías en licencia administrativa tras arresto
El mexicano Julio Urías fue colocado el miércoles en licencia administrativa indefinida por parte del béisbol de las Grandes Ligas luego que el lanzador de los Dodgers de Los Ángeles […]

